MENU

The client contacted Planning By Design regarding a proposed dropped kerb / vehicle crossover to provide access to driveway for car parking. Following…

The client approached Planning By Design regarding a proposed formation of a dropped kerb for the flat, to allow vehicular access for…

The client approached Planning By Design regarding a proposed dropped kerb/ vehicular crossover installation at the front of property. Following a planning…

The client approached Planning By Design regarding a proposed addition of a dropped kerb to enable vehicle access to a new driveway for…

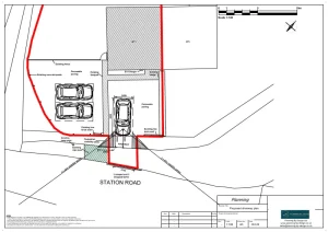
The client contacted Planning By Design regarding a proposed installation of the vehicle access/dropped kerb to the existing driveway. Following a planning appraisal…

The client contacted Planning By Design regarding a proposed formation of vehicular access at the front of the property in the form of a…